Welcome to

Lancashire Online Knowledge

Image Credit Header image: Artwork by Professor Lubaina Himid, CBE. Photo: @Denise Swanson


Strategic Understandings: An Investigation of Professional Academy Youth Soccer Coaches’ Interpretation, Knowledge, and Application of Game Strategies

Price, Amy, Collins, Dave, Stoszkowski, John Robert orcid iconORCID: 0000-0002-1968-5770 and Pill, Shane (2020) Strategic Understandings: An Investigation of Professional Academy Youth Soccer Coaches’ Interpretation, Knowledge, and Application of Game Strategies. International Sport Coaching Journal, 7 (2). pp. 1-12. ISSN 2328-918X

[thumbnail of Author Accepted Manuscript]
Preview
PDF (Author Accepted Manuscript) - Accepted Version
Available under License Creative Commons Attribution Non-commercial No Derivatives.

412kB
[thumbnail of Author Accepted Manuscript - Table 1]
Preview
PDF (Author Accepted Manuscript - Table 1) - Accepted Version
Available under License Creative Commons Attribution Non-commercial No Derivatives.

90kB
[thumbnail of Author Accepted Manuscript - Table 2]
Preview
PDF (Author Accepted Manuscript - Table 2) - Accepted Version
Available under License Creative Commons Attribution Non-commercial No Derivatives.

12kB
[thumbnail of Author Accepted Manuscript - Table 3]
Preview
PDF (Author Accepted Manuscript - Table 3) - Accepted Version
Available under License Creative Commons Attribution Non-commercial No Derivatives.

89kB
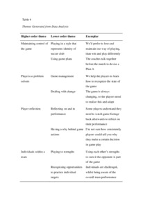
[thumbnail of Author Accepted Manuscript - Table 4]
Preview
PDF (Author Accepted Manuscript - Table 4) - Accepted Version
Available under License Creative Commons Attribution Non-commercial No Derivatives.

78kB

Official URL: http://dx.doi.org/10.1123/iscj.2019-0022

Abstract

The purpose of this study was to explore professional soccer coaches’ interpretations of features suggesting players’ game understanding across the age phases of professional academy youth soccer in England, with particular attention paid to the role of strategic understanding. Semistructured interviews were conducted with coaches (n = 19) of players aged 9–23 years to better understand how coaches understand and apply methods to develop players’ strategic game understanding. Data revealed that coaches prioritized the technical and tactical development of their players over strategic development. However, across the age phases, coaches encountered challenges with coaching for strategic understanding (i.e., maintaining control of the game, players as problem solvers, player reflection, and coaching individuals within a team). The authors suggest that coaches and program designers need to show more intent toward developing players’ strategic understanding, becoming more purposeful when choosing “how” to develop this. In particular, coaches should consider how coaching methods that seek to develop players’ metacognitive game skills can be applied, with the goal of developing self-aware, flexible, and independent players as learners who demonstrate an appropriately “deep” understanding of the game.


Repository Staff Only: item control page